Previsão e Seguimento de Furacões (Atlântico 2025)

  • Thread starter Thread starter Orion
  • Data de início Data de início
image0.png


image0.jpg


Muito complicado para a Jamaica... Espero que recebam toda a ajuda necessária.
 
Última edição:
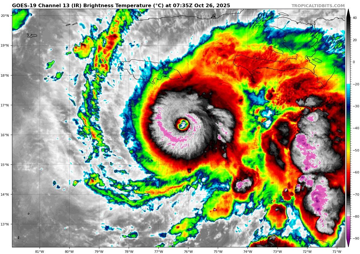
INIT 26/2100Z 16,4N 77,2W 125 KT 145 MPH
12H 27/0600Z 16,4N 77,7W 135 KT 155 MPH
24H 27/1800Z 16,6N 78,2W 140 KT 160 MPH
36H 28/0600Z 17,2N 78,2W 140 KT 160 MPH
48H 28/1800Z 18,4N 77,5W 115 KT 130 MPH...INTERIOR SOBRE A JAMAICA
60H 29/0600Z 20.0N 76.1W 105 KT 120 MPH...NA COSTA SE DE CUBA
72H 29/1800Z 22,1N 74,4W 90 KT 105 MPH...SOBRE A ÁGUA
96H 30/1800Z 28,0N 69,5W 80 KT 90 MPH
120H 31/1800Z 37,0N 60,0W 70 KT 80 MPH
Já temos vento máximo sustentado de 235 km\h, e MELISSA deverá ultrapassar os 140 nós\259 km\h de vento sustentado antes de chegar à Jamaica. As rajadas poderão ultrapassar os 170 nós\310 km\h...
O potencial catastrófico é tremendo, para além do vento, a chuva diluviana nos próximos 5 dias pode chegar a valores entre 500 e 750 L\m2 em grande parte da Jamaica, e na zona montanhosa do leste da ilha pode atingir valores entre 750 e 1000 L\m2.

1000x1000.webp
 
MELISSA já tem ventos sustentados de ~260 km\h. É classificado como categoria 5.
Desloca-se a 6 km\h. Com velocidade baixa, mesmo que acelerando um pouco, a Jamaica deverá sofrer a sua acção por bastantes horas, o que ampliará os possíveis danos.
GOES19-CAR-GEOCOLOR-1000x1000.gif

imagem GIF, actualizável


Curiosidade, ou não, está previsto na actual trajectória passar em cima da Bermuda na 5ª feira - aquilo parece que tem uma íman para tempestades...
280855_5day_cone_no_line_and_wind.webp

Também aqui se vê o quão baixa é velocidade de deslocação desta tempestade.
 
Melissa aparece nas imagens de satélite como tendo comprimido o olho?
145 nós no último aviso (15:00utc).

000
WTNT43 KNHC 271448
TCDAT3

Hurricane Melissa Discussion Number 25
NWS National Hurricane Center Miami FL AL132025
1100 AM EDT Mon Oct 27 2025

Melissa has the classic strong hurricane appearance in satellite
imagery this morning, with a well-defined 10-nm wide eye embedded
in a central dense overcast with cloud tops colder than -80C. The
hurricane also has a large complex of outer banding over the
eastern semicircle and a circulation that covers most of the
Caribbean west of 70 degrees west longitude. Reports from NOAA and
Air Force Reserve Hurricane Hunter aircraft indicate the central
pressure has fallen to near 908 mb, with both aircraft releasing
dropsondes in the northeastern eyewall that support an initial
intensity of 145 kt. The NOAA aircraft left the storm early after
experiencing severe turbulence in the southwestern eyewall.

The eye is wobbling around due to the slow motion, but the best
estimate of the initial motion is 270/3 kt. The mid-level ridge
north of Melissa is weakening as a deep-layer mid-latitude trough
moves eastward through the southeastern United States. This should
cause the hurricane to turn northward during the next 12 h or so at
a continued slow forward speed. After 24 h, Melissa should turn
northeastward with some increase in forward speed as the
mid-latitude westerly flow becomes the dominant steering
mechanism. This general motion should continue for the rest of the
forecast period. On the forecast track, the center of Melissa will
be near or over Jamaica late tonight or early Tuesday, cross
eastern Cuba Tuesday night or early Wednesday, and then move near
or over the Bahamas and the Turks and Caicos on Wednesday. After
that, the cyclone could reach the vicinity of Bermuda on Thursday
night. The new forecast track has some minor adjustments from the
previous track and is a blend of the HFIP Corrected Consensus, the
Google DeepMind ensemble mean, and the other consensus models.

Some fluctuations in intensity are likely during the next 12-24 h
due to the possibility that Melissa will start an eyewall
replacement cycle. However, this is unlikely to weaken Melissa
significantly, and there is no practical difference in Melissa
making landfall in Jamaica at category 4 or 5 intensity, since both
categories produce catastrophic wind damage. After reaching Jamaica,
a combination of land interaction and increasing southwesterly shear
should cause some weakening, although Melissa is still forecast to
be a major hurricane when it reaches Cuba. Once over the Atlantic,
stronger shear should cause more substantial weakening, and Melissa
is expected to become extratropical by the end of the forecast
period. The new intensity forecast has minor adjustments from the
previous and follows the trend of the intensity consensus.


Key Messages:

1. Jamaica: Do not venture out of your safe shelter. Catastrophic
and life-threatening flash flooding and numerous landslides are
likely today through Tuesday. Catastrophic winds in the eyewall have
the potential to cause total structural failure especially in higher
elevation areas tonight and early Tuesday. This will result in
extensive infrastructural damage, long-lasting power and
communication outages, and isolated communities. Life-threatening
storm surge and damaging waves are expected along the southern coast
through Tuesday.

2. Haiti and the Dominican Republic: Catastrophic and
life-threatening flash flooding and landslides are expected across
southwestern Haiti and southern portions of the Dominican Republic
through midweek. In Haiti, extensive infrastructural damage and
isolation of communities is likely. Tropical storm conditions are
expected late Tuesday and Wednesday.

3. Eastern Cuba: Heavy rainfall with life-threatening and
potentially catastrophic flash flooding and landslides is expected
beginning today. Life-threatening storm surge and damaging winds are
expected late Tuesday and Tuesday night. Preparations should be
rushed to completion.

4. Southeast Bahamas and the Turks and Caicos: Hurricane conditions,
life-threatening storm surge, and heavy rainfall are possible on
Wednesday. Residents should follow advice given by local officials
and be sure to have preparations complete by Tuesday night.


FORECAST POSITIONS AND MAX WINDS

INIT 27/1500Z 16.4N 78.2W 145 KT 165 MPH
12H 28/0000Z 16.9N 78.3W 145 KT 165 MPH
24H 28/1200Z 17.8N 77.9W 140 KT 160 MPH
36H 29/0000Z 19.1N 76.9W 110 KT 125 MPH
48H 29/1200Z 20.8N 75.5W 95 KT 110 MPH
60H 30/0000Z 23.0N 73.7W 85 KT 100 MPH
72H 30/1200Z 25.9N 71.2W 85 KT 100 MPH
96H 31/1200Z 34.3N 63.0W 75 KT 85 MPH
120H 01/1200Z 42.8N 50.0W 60 KT 70 MPH...POST-TROP/EXTRATROP

$$
Forecaster Beven

SUMMARY OF 1100 AM EDT...1500 UTC...INFORMATION
-----------------------------------------------
LOCATION...16.4N 78.2W
ABOUT 145 MI...230 KM SW OF KINGSTON JAMAICA
ABOUT 330 MI...530 KM SW OF GUANTANAMO CUBA
MAXIMUM SUSTAINED WINDS...165 MPH...270 KM/H
PRESENT MOVEMENT...W OR 270 DEGREES AT 3 MPH...6 KM/H
MINIMUM CENTRAL PRESSURE...908 MB...26.82 INCHES





Melissa-track_adv25.webp


271447INTQPF_sm.gif


uktqwhy.jpeg
 
Última edição:
EYE DIAMETER 10 NM
MAX SUSTAINED WINDS 145 KT WITH GUSTS TO 175 KT.
64 KT....... 25NE 20SE 20SW 25NW.

20 milhas náuticas = 37 quilómetros
25 mn = 46 q

1731374303095

Os acumulados colossais vão fazer muitos danos generalizados. Mas em termos de vento, a diferença é inimaginável.

Preliminar:

dwjnaRo.jpeg


vs o pior cenário que não vai ocorrer:

xVz6jTd.jpeg


Obviamente que muitas casas de madeira nos povoados dispersos serão completamente obliteradas, havendo um semelhante cenário na vegetação.

A Jamaica é uma ilha de dimensões consideráveis e no que concerne a vento, todos os quilómetros vão fazer diferença. Haverá certamente gente que ficará sem casa e os amigos a poucos quilómetros de distância poderão salvar alguma coisa ou até serem pouco afetados.
 
Última edição:
000
WTNT33 KNHC 271733
TCPAT3

BULLETIN
Hurricane Melissa Intermediate Advisory Number 25A
NWS National Hurricane Center Miami FL AL132025
200 PM EDT Mon Oct 27 2025

...CATEGORY 5 MELISSA MOVING SLOWLY WEST-NORTHWESTWARD AND
EXPECTED TO TURN NORTHWARD LATER TODAY...
...CATASTROPHIC AND LIFE-THREATENING WINDS, FLOODING, AND STORM
SURGE EXPECTED ON JAMAICA TONIGHT AND EARLY TUESDAY...


SUMMARY OF 200 PM EDT...1800 UTC...INFORMATION
----------------------------------------------
LOCATION...16.5N 78.3W
ABOUT 145 MI...230 KM SW OF KINGSTON JAMAICA
ABOUT 325 MI...525 KM SW OF GUANTANAMO CUBA
MAXIMUM SUSTAINED WINDS...175 MPH...280 KM/H
PRESENT MOVEMENT...WNW OR 285 DEGREES AT 3 MPH...6 KM/H
MINIMUM CENTRAL PRESSURE...906 MB...26.76 INCHES


175 MPH. Wow....
 
Malta do campo, mais prejudicada, inevitavelmente cairá no esquecimento. Ali e em todo o lado.

Um rabisco para se ter uma ideia.

9k57Tj7.png


A amarelo está Mandeville, que tem várias dezenas de milhares de habitantes.

Situa-se num planalto a algumas centenas de metros acima do terreno a oeste. A orografia poderá proteger a população do pior.

eobXCwH.png


A urbanização no noroeste é Montego Bay que alberga algumas centenas de milhares. Deverá também ser poupada.